Bali, Indonesia, is a popular destination for scuba divers, offering a unique underwater experience that includes the opportunity to see manta rays and shipwrecks. Scuba diving in Bali is a must-do activity for any adventure-seeking traveller, and it is an experience that will leave you with memories to last a lifetime. I spent a couple of months on the island so of course, I had to take the opportunity to go scuba diving with one of the better companies offering on the dive site of Tulamben. We got lucky to see Manta Rays, turtles and endless marine life along the reef as well as a shipwreck. Taking underwater photos is always challenging but I managed a few good ones as seen below.



Manta rays are one of the highlights of scuba diving in Bali, and they can be seen in several locations around the island. These magnificent creatures are often referred to as “gentle giants” due to their gentle nature and massive size, and they are a sight to behold as they gracefully glide through the water. Manta rays can be seen at several dive sites around Bali, including Nusa Penida, Tulamben, and Amed. These dive sites are known for their clear waters and the abundance of manta rays that can be seen there, making them the perfect places to see these magnificent creatures up close and personal.




Another exciting aspect of scuba diving in Bali is the opportunity to explore shipwrecks. Bali is home to several shipwrecks, including the USAT Liberty, which is a popular dive site located in Tulamben. The USAT Liberty was a cargo ship that was torpedoed during World War II, and it now sits in shallow waters off the coast of Bali. The wreck is covered in coral and other marine life, making it a fascinating and unique dive site. The shallow waters around the wreck make it accessible to divers of all levels, making it a great spot for both novice and experienced divers.




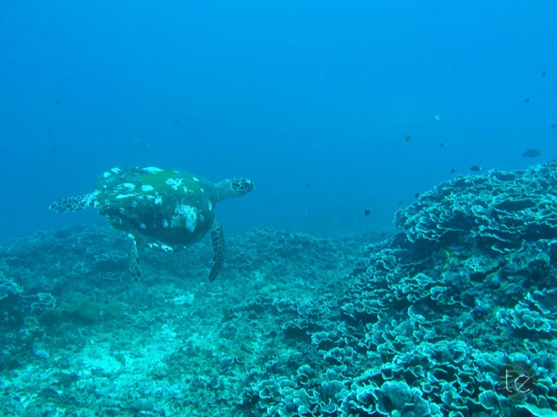
In addition to manta rays and shipwrecks, scuba diving in Bali offers the chance to see a wide variety of marine life, including colourful tropical fish, sea turtles, and other fascinating creatures. The waters around Bali are home to over 2,000 species of fish and other marine life, making it one of the richest and most diverse dive destinations in the world. Whether you are a seasoned diver or just starting, the waters around Bali are sure to captivate and awe you with their beauty and diversity.





When it comes to scuba diving in Bali, safety is of the utmost importance. There are several dive operators located around the island, and it is important to choose a reputable and experienced dive operator that will ensure a safe and enjoyable diving experience. Dive operators in Bali are well-equipped and well-trained, and they will provide you with all of the equipment and training you need to safely explore the underwater world.




In conclusion, scuba diving in Bali is a must-do activity for anyone who loves adventure and the great outdoors. The opportunity to see manta rays and shipwrecks, along with the abundant marine life and beautiful waters, make Bali a top dive destination. Whether you are a seasoned diver or just starting, scuba diving in Bali is an experience that you will never forget.




Thanks for visiting and reading. Please do not steal images from the website. All images are watermarked and copyrighted. Feel free to engage by leaving a comment below. Until next time.
PS. There are a lot more photographs from the beautiful island of Bali in Indonesia, so if you are interested I put together a little silent photo slideshow below:
Here are 10 little-known facts about Bali:
- Bali is one of the few places in the world where you can find a subak irrigation system. This ancient system, which is over a thousand years old, is based on a philosophy of water management and distribution that is centred around temples.
- The island of Bali is home to over 20,000 temples, with each one serving a specific purpose or function.
- The Balinese language is unique and distinct from other Indonesian languages. It is a part of the Austronesian language family and has its own alphabet, which is based on ancient Sanskrit.
- Bali is the only predominantly Hindu island in Indonesia. Over 80% of the population practices Balinese Hinduism.
- The Balinese calendar is unique and follows a 210-day cycle. The calendar is based on the movements of the moon and is used for important cultural and religious events.
- The traditional dance of Bali, known as Barong, is performed by two dancers – one representing good and the other representing evil. The dance is part of a larger ritual that is performed to protect the community from evil spirits.
- Bali is home to the largest bamboo structure in the world – the Green School. The school, which is made entirely out of bamboo, was founded by John Hardy and his wife Cynthia in 2008.
- The island of Bali is home to a rare and endangered species of primate called the Bali Starling. The bird is known for its striking white feathers and is critically endangered due to habitat loss and poaching.
- Bali is famous for its coffee, which is grown on the island’s volcanic slopes. One of the most popular varieties is Kopi Luwak, which is made from beans that have been eaten and excreted by civet cats.
- The island of Bali is also known for its traditional music, which is characterized by the use of gamelan instruments. The gamelan orchestra is made up of a variety of percussive instruments, including gongs, xylophones, and drums.

Thanks for sharing this idea.
Thank you, Anita, I followed your blog as well today.
Outstanding underwater shots! I enjoyed the slide show too.
Thanks for the kind words, glad you liked the slideshow as well! I appreciate your comment and visit to my website. Take care.
The diving in Bali looks incredible. How fun to see so many manta rays and shipwrecks. It’s a whole different world under the sea. We haven’t been diving since before the pandemic and have been eager to get back in the water.
Bali offers some amazing sights for diving, you should consider it next time you are planning a trip to Asia. Everything can be rented to make it easy and cheap.
Good to know. We only have our own fins, facemasks and wetsuits and often rent the rest of the gear, which makes things so my easier. I sure wish I was somewhere warm like Bali now, especially after the massive snowstorm we got last night!
That makes two of us… 😃 But summertime is coming… eventually!